22.23 Surveyed Acres with Lake of the Ozark Views
- TBD Golden Acres Rd, Lincoln, Missouri 65338
Property Description
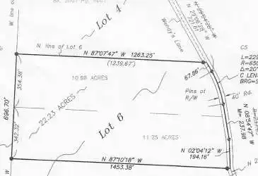
Update 7-31-24 There are two tracts here both surveyed. Owner will divide into a 10.98 acre tract and a 11.25 Acre Tract What a great laying tract of land close to Lake of the Ozarks! This 22.23 acres has been surveyed and is just waiting for someone to build a home , cabin or just park your RV on it and camp. There are slight restrictions on it. Please see one of the pictures for those. Nice ...

Read The Full Property Description on MissouriLandCo.com

Basic Details
Status:
Inactive
Property Type:
Land
Price:
$115,000
Acreage:
22.23 Acre
Listing ID:
5913
Features
Bedrooms:
0
Bathrooms:
0
Address Map
Street Name:
Golden Acres Rd
Country:
US
State:
MO
County:
Benton
City:
Lincoln
Zipcode:
65338
Longitude:
W94° 53' 28.3''
Latitude:
N38° 14' 26.6''